
Dermatology
The Dermatology unit is responsible for treating skin diseases in companion animals, both conventional and unconventional. The visit may comprise outpatient consultations, as well as dermatologic and ear examinations, thus allowing to make a preliminary diagnosis. Further examinations such as bacteriological, mycological and allergy tests may be performed so as to gather comprehensive information about a patient's health.
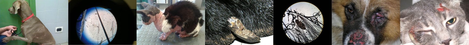
In particular, one of the following medical examinations may be performed:
- Trichological examination
- Skin scraping
- Skin and ear cytology
- Sampling for bacteriological, cytological and allergy testing
- Skin biopsy
- Video otoscopy
- Ear cleaning
The unit's staff is composed as follows:
- Prof. Helen Poser (Head of Unit)
- Dr. Michele Berlanda
Dermatology services are available prior appointment or after the pet's conditions have been stabilised.
Setting up an appointment
To set up an appointment, please call the hospital's reception desk at +39 049 827 2608. The receptionist will get you in contact with the veterinarian responsible for the service.
Opening hours
Dermatology services are available Monday through Friday, 8.30 a.m. - 6.00 p.m.
All VTH activities are particularly relevant for veterinary teaching. In this regard, it shall be noted that fourth- and fifth-year students of the single cycle degree course in veterinary medicine may be present as teachers and other veterinarians perform clinical activities.

